Inhalt
Auflage Baugesuch Meier Kilian und Daniela/Meier Erich und Angela
Im Sinne von § 198 des Planungs- und Baugesetzes des Kantons Luzern (PBG) vom 07. März 1989 sowie des Bau- und Zonenreglementes der Gemeinde Menznau wird folgende Planauflage im vereinfachten Verfahren durchgeführt:
Bauvorhaben
Umgestaltung Seitenplatz, Balkonverglasung, Kamin und Terrassenbedachung
Gesuchsteller/in
- Meier Kilian und Daniela, Bahnhofstrasse 22, 6122 Menznau
- Meier Erich und Angela, Bahnhofstrasse 24, 6122 Menznau
Grundstück-Nrn. / Lage
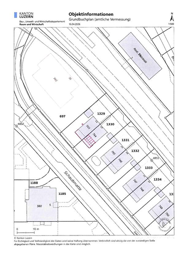
1329, 1330 / Bahnhofstrasse 22 und 24
Gebäude-Nrn. 743, 744
Einsprachefrist 27. April 2026 bis 6. Mai 2026
Baugesuch und Pläne liegen während der Einsprachefrist auf der Gemeindeverwaltung Menznau öffentlich zur Einsichtnahme auf. Ebenfalls wird das Baugesuch mit sämtlichen Plänen und Beilagen während der öffentlichen Auflage passwortgeschützt unter www.menznau.ch zur Einsicht bereitgestellt.
Öffentlich-rechtliche und privatrechtliche Einsprachen sind innert der Einsprachefrist schriftlich mit Antrag und dessen Begründung beim Gemeinderat Menznau einzureichen.
